|
|
Tema
7: Célula
Las
modificaciones de la pared no
afectan la apariencia de las células sino
las propiedades físicas y químicas
de las paredes. Las sustancias adicionales se
depositan por incrustación o por adcrustación.
Es la
intercalación de nuevas partículas entre las
existentes en la pared.
La celulosa
es resistente a la tensión pero no aguanta
la compresión. Esto se soluciona en las
células de sostén mediante la incrustación
de la matriz o fase amorfa con sustancias que
la endurecen, por ejemplo: lignina y compuestos
minerales.
|
 | Lignina.
Es uno de los componentes más importantes de
la pared secundaria, y después de la celulosa,
el polímero vegetal más abundante. La
pared secundaria tiene 2/3 de celulosa y 1/3 de lignina.
Aumenta la resistencia mecánica. Pueden lignificarse
paredes secundarias, primarias y laminilla media.
Es un polímero de cuerpos fenólicos
(monolignoles) que son
exocitados por dictiosomas. Se entrelazan en una
red tridimensional alrededor de las microfibrillas
por la acción de las proteínas enzimáticas que se
encuentran en la membrana plasmática.
Se reconocen 3 tipos de lignina: en monocotiledóneas (alcohol
p-cumarílico), en árboles planifolios - dicotiledóneas
- (alcohol coniferílico
y sinapílico) y en árboles aciculifolios
- gimnospermas - y pteridófitas (alcohol coniferílico).
Además la lignina tiene distinta composición en
células de diferentes partes de la planta. |
 |
Compuestos
minerales.
Endurecen las paredes que pierden elasticidad y se
vuelven frágiles. Los pelos de Cucurbitaceae y Borraginaceae tienen incrustaciones
de Carbonato de Ca; la epidermis de gramíneas,
ciperáceas y equisetáceas presenta
silicatos.
|
Las
sustancias adicionales se depositan por aposición o
acumulación de material,
sobre la pared celular, capa a capa, por fuera o por dentro.
 |
Calosa.
Es un hidrato de carbono, beta glucano de molécula
helicoidal, que se sintetiza en la membrana plasmática,
se deposita o destruye con mucha rapidez siempre que
sea necesario aislar temporariamente una o más
células. Se encuentra en los plasmodesmos,
en las placas cribosas del floema, rodeando las células
madres del polen, en los tubos polínicos, en
las células heridas.
La calosa-sintasa es activada por el Calcio que
penetra en la célula; posiblemente, el elevado
nivel intracelular de iones Ca++ provoca
una inversión del complejo de celulosa-sintasa
en calosa-sintasa. |
 |
Cutina.
Compuesto graso que se deposita sobre la pared externa
de las células epidérmicas formando
una capa llamada cutícula, delgada, continua
e impermeable. |
 |
Suberina.
Compuesto graso impermeable, un polímero insoluble,
que se deposita por dentro de la pared primaria en
finas laminillas que alternan con capas de cera. Se
la encuentra en células de la peridermis que
constituyen el súber o corcho. Los monómeros
se forman en el retículo endoplasmático
liso y son secretados por difusión (secreción
écrina). |
 |
Ceras. Asociadas
con suberina y cutina (Figs. 7.27
y 7.28). En muchas frutas como
uva y ciruela, y hojas como las de repollo se observan
depósitos de cera que forman una película
gris clara. Consta de cristales de cera bacilares
o tubuliformes. En Copernicia cerifera
la cantidad de cera de la epidermis de las hojas es
tal que se comercializa: las hojas se raspan para
obtener la cera de Carnaúba. |
|
Fig.
7.27. Epidermis de Aloe con ceras
|
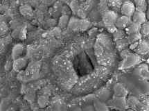
Fig.7.28.
Filamentos de cera sobre estoma de caña de azúcar
|
|
|
|
 |
Esporopolenina.
Químicamente muy resistente, sólo degradable
por oxidación, protege el contenido de esporas
y granos de polen. Está constituida por terpenos,
aparentemente originados por polimerización
de pigmentos carotenoides o sus ésteres.
|
|
Fig. 7.29.
Granos de polen corbicular
(de las patas de las abejas melíferas) |
 |

[ Tema 1 ] [ Tema 2 ] [ Tema 3 ] [ Tema 4 ] [ Tema 5 ] [ Tema 6 ] [ Tema 7 ] [ Tema 8 ] [ Tema 9 ] [ Tema 10 ] [ Tema 11 ] [ Tema 12 ] [ Tema 13 ] [ Tema 14 ] [ Tema 15 ] [ Tema 16 ] [ Tema 17 ] [ Tema 18 ] [ Tema 19 ] [ Tema 20 ] [ Tema 21 ] [ Tema 22 ] [ Tema 23 ] [ Actividades ] [ Tema 24 ]
|